0000 Prospect AveSantee, CA 92071
Due to the health concerns created by Coronavirus we are offering personal 1-1 online video walkthough tours where possible.




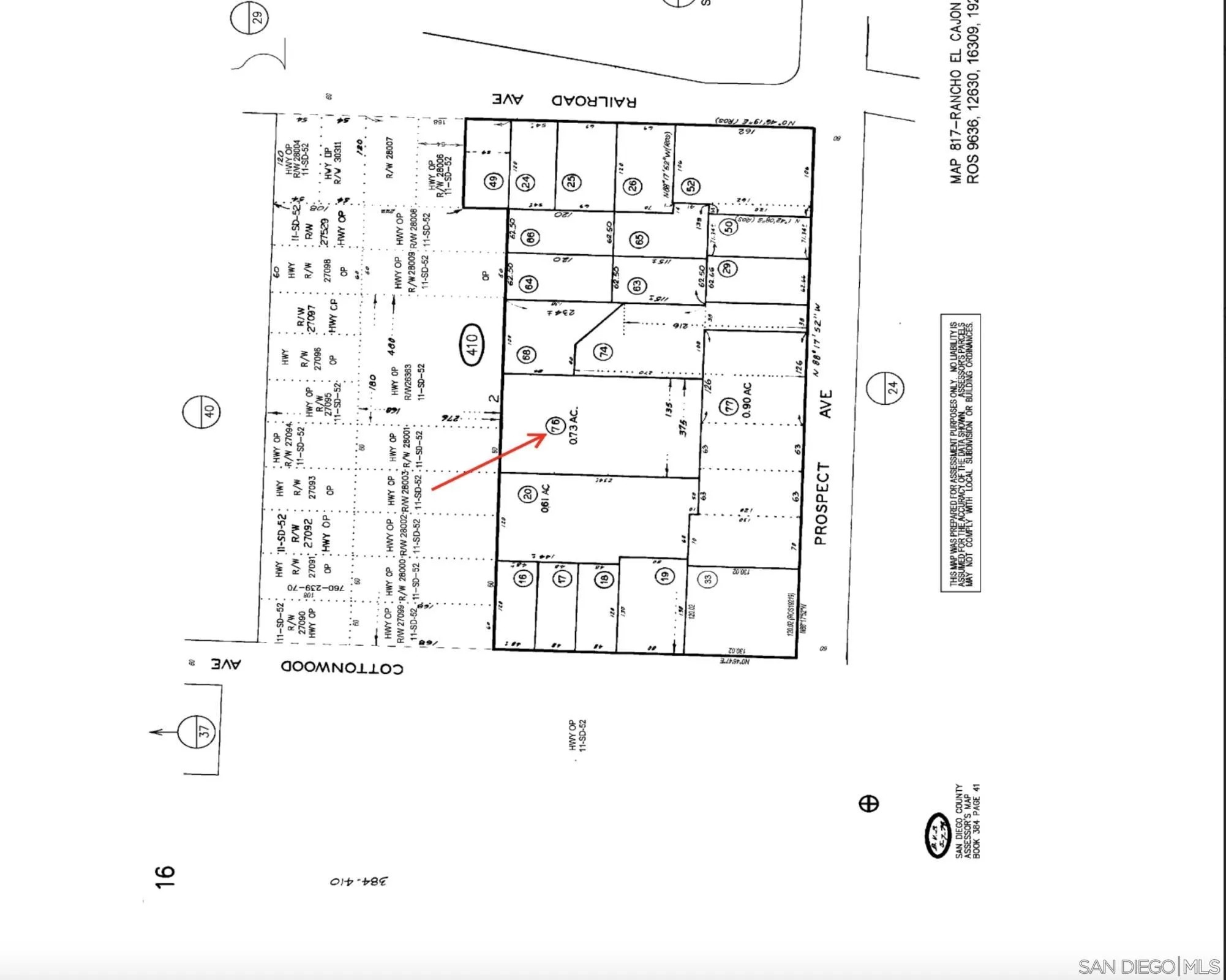
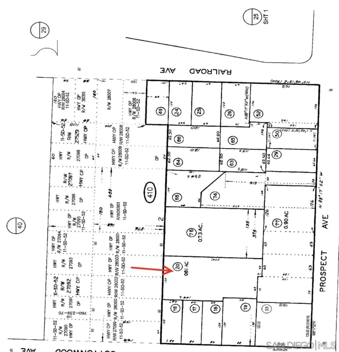
**Prime Commercial Land Opportunity in San Diego County** Discover a rare investment opportunity in San Diego County! We present two commercial parcels, each with a potential high cap rate for land development. The FAA has a preliminary approval approved for storage/equipment parking use on these vacant lots, totaling 1.34 acres. **Key Features:** - Parcel 1 (APN 384-410-76-00): 31,798 sq. ft. - Parcel 2 (APN 3385-410-20-00): 26,571 sq. ft. - FAA Preliminary Approval for Storage Use - Gillespie Field Overlay Zone - Light Industrial Zoning - Triple Net Lease Option: $8,500 for both parcels - Individual Parcel Lease Rates: $3,719 (Parcel 1) and $4,451 (Parcel 2) - Convenient Ingress and Egress on West Side (East May be Availble) **Additional Information:** - The adjacent parcel, grandfathered for two single-family residences, may be available for sale. Call the Agent for details and/or to submit an offer. - Located in the Gillespie Field Compatibility Zone, ensuring strategic development. - Check the Gillespie Community Land Use Plan (Page 32), and Gillespie Field Compatibility Plan (Pages 71-72, 107-112) for detailed zoning insights. **Sales Details:** - Total Sales Price: $1,395,000 - Acreage: 1.34 acres (58,369 sq. ft.) **Important Notes:** - No structures can be built under the Gillespie Community Land Use Plan and avigation easement on this particular property. - Verify all information with the FAA, the County of San Diego, and the city of Santee for approvals.
| 18 hours ago | Listing updated with changes from the MLS® | |
| 20 hours ago | Listing first seen on site |
This information is deemed reliable but not guaranteed. You should rely on this information only to decide whether or not to further investigate a particular property. BEFORE MAKING ANY OTHER DECISION, YOU SHOULD PERSONALLY INVESTIGATE THE FACTS (e.g. square footage and lot size) with the assistance of an appropriate professional. You may use this information only to identify properties you may be interested in investigating further. All uses except for personal, non-commercial use in accordance with the foregoing purpose are prohibited. Redistribution or copying of this information, any photographs or video tours is strictly prohibited. This information is derived from the Internet Data Exchange (IDX) service provided by San Diego MLS®. Displayed property listings may be held by a brokerage firm other than the broker and/or agent responsible for this display. The information and any photographs and video tours and the compilation from which they are derived is protected by copyright. Copyright © 2025 San Diego MLS®.
Last checked 2025


Did you know? You can invite friends and family to your search. They can join your search, rate and discuss listings with you.